80 €/m2
okres
Prievidza
Diviaky nad Nitricou
- pred 29 dňami
- Vložené na TRH.sk:
- pred 29 dňami
- Aktualizované:
realityalpia, s.r.o.
A. Kmeťa 24
03601 Martin
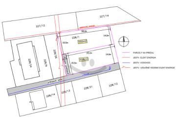
Reality Alpia vám ponúka stavebný pozemok v centre obce Diviaky nad Nitricou.
Pozemok je rovinatý s prístupovou cestou.
Inžinierské siete voda, elektrika na pozemku.
Pozemok je vhodný na výstavbu rodinného domu alebo bytovky.
Nachádza sa v tichej slepej ulici.
V ponuke sú dva stavebné pozemky.
Pre viac informácií alebo obhlidku nás kontaktujte na t.č. 0917 047 195
